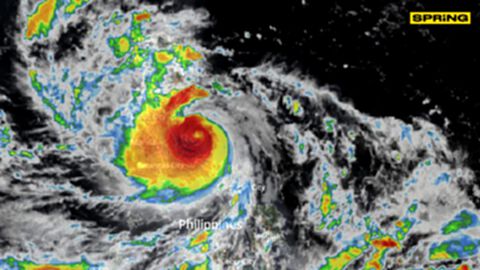
ព្យុះទីហ្វុង Noru បានវាយប្រហារប្រទេសហ្វីលីពីនយ៉ាងខ្លាំង បណ្តាលអោយមានភ្លៀងធ្លាក់ខ្លាំង និងមានខ្យល់បក់បោក
- BY
- Oun Mey
- September 27, 2022
ហ្វីលីពីន៖ យោងតាមសារព័ត៌មាន Thairath បានរាយការណ៍ នៅព្រឹកថ្ងៃទី២៦ ខែកញ្ញា ឆ្នាំ២០២២ ថា៖ ព្យុះទីហ្វុង Noru ឬដូចដែលប្រជាជនហ្វីលីពីនហៅថា “ព្យុះទីហ្វុង karding” បានបោកបក់លើឆ្នេរសមុទ្រនៅលើកោះ Polillo ភាគឦសាននៃប្រទេស ជាមួយនឹងល្បឿនខ្យល់រហូតដល់ ២៤០គីឡូម៉ែត្រក្នុងមួយម៉ោង និងមានល្បឿនខ្យល់អតិបរមា ២៩៥ គីឡូម៉ែត្រក្នុងមួយម៉ោង មុនពេលព្យុះនេះបក់ចូលទីក្រុង Berdeos នៅខេត្ត Quezon។ ខណៈពេលដែលព្យុះទីហ្វុង Noru ផ្លាស់ទីទៅលើកោះដែលស្ថិតនៅ ភាគខាងជើងនៃប្រទេសហ្វីលីពីន រដ្ឋាភិបាលប្រកាសអោយពន្លឿនការជម្លៀសប្រជាជន បញ្ជាឱ្យបិទសាលារៀន និងការិយាល័យរដ្ឋាភិបាល និងជូនដំណឹងដល់សាធារណជនឱ្យប្រុងប្រយ័ត្នចំពោះគ្រោះថ្នាក់នៃឥទ្ធិពលព្យុះនេះ។

- Share This Post:


